Family Pet Clinic of North Richland Hills
OFA - Orthopedic Foundation for Animals
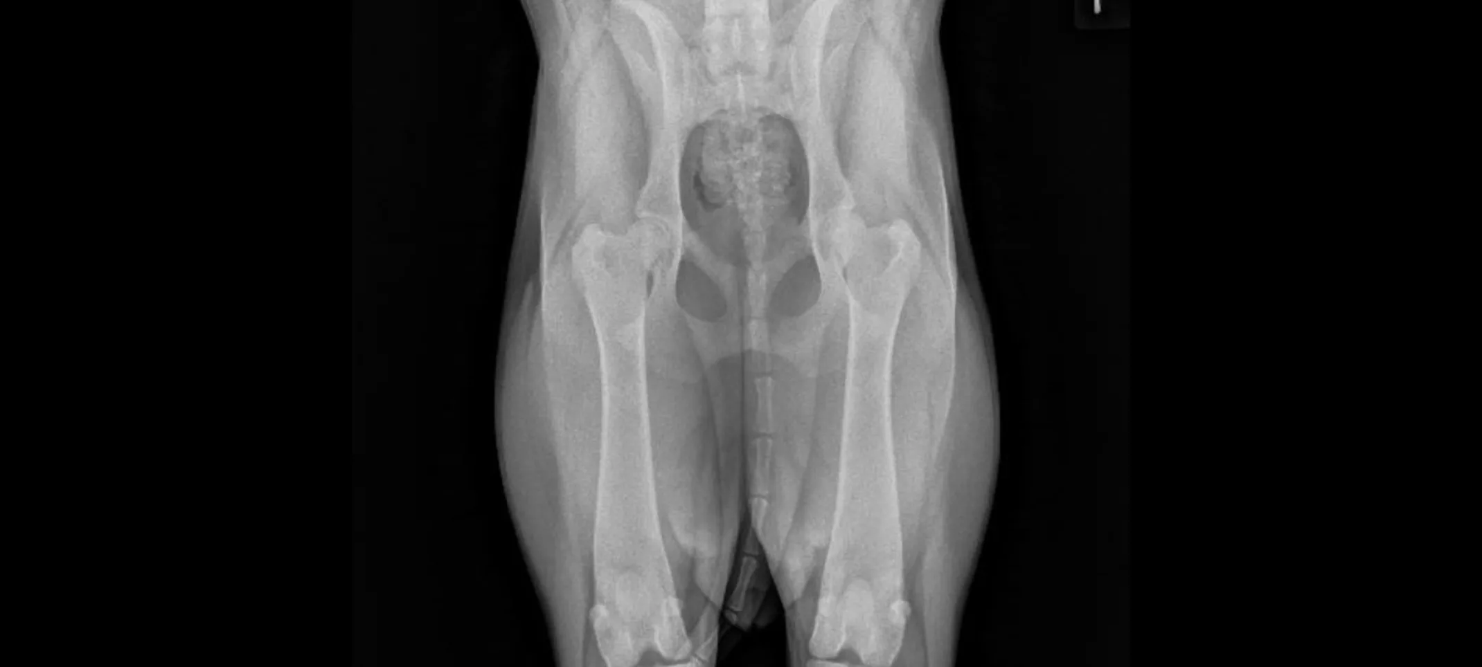
OFA stands for the Orthopedic Foundation for Animals. It is a foundation that provides radiographic evaluations, data management, and genetic counseling for companion animals, primarily to help prevent the passing on of genetic diseases.

Elaboration:
The Orthopedic Foundation for Animals (OFA) was established in 1966 to address hip dysplasia in dogs, but has expanded to encompass other inherited diseases and other companion animals like cats. Their mission is to improve the health and well-being of companion animals by reducing the incidence of genetic diseases.
OFA certification involves evaluating radiographs (x-rays) and genetic tests to assess an animal's health for various conditions, such as hip dysplasia, elbow dysplasia, and others. This information is used by breeders to make informed decisions about breeding, aiming to produce healthier puppies and kittens.
Our OFA certifications available:
Thyroid
Hips/Elbows
Legg Calve Perthes
Shoulders
Basic Cardiac
Patellas
Dentition
BAER

